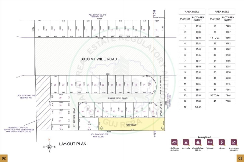
Krishna Bungalows is a plotted development real estate project developed by Harshad Govindbhai Hirpara And Others, strategically located at Block No. - 610/p (Old), C.s. No. - Na729, Reconstituted Land No. 1+2, Village:- Vav, Taluka :- Kamrej, District :- Surat., Surat, 394326. This RERA-registered property (Registration No: PR/GJ/SURAT/KAMREJ/Surat Urban Development Authority/PAA15560/210725/311227). Total 45 Number Of Plot Units
The project is professionally designed by Hiralben Anilbhai Thummer and engineered by Soham Balabhai Ghevariya, ensuring quality construction and adherence to all regulatory standards. For more information about this property, interested buyers can contact Harshad Govindbhai Hirpara And Others directly at 9825743434.






